West Palm Beach-based Schickedanz Building Group is moving forward with a luxury single-family housing development on land once slated for equestrian purposes.
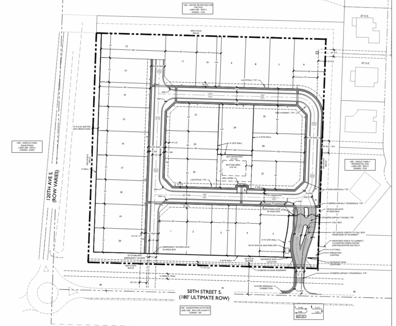
IslePointe, located in Wellington, will comprise 25 two-story homes, with the average residence costing more than $3 million. Conceptual renderings show that each home will feature a private swimming pool. Additionally, as part of the project’s approval, no homes at IslePointe can be used as rentals.
The Wellington Village Council approved plans for the project this past Wednesday. According to the Real Deal, the Council decided that a single-family community would fit the area’s profile better than the hypothetical three-story 201-unit apartment that Schickedanz could propose under the Live Local Act if denied.

The project’s future build site. Image from Village of Wellington
SIWBG2 LLC, an affiliate of Schickedanz Building Group, purchased the project’s vacant 10-acre build site for $4.5 million in 2021. The year prior in 2020, the developer sought approval for 38 single-family homes on the site. Per the South Florida Business Journal, each home lot was to span 7,000 square feet, and communal amenities would include a dog park. It’s unclear how much these plans have changed, aside from the reduced number of units.
The 25-unit IslePointe is set for the northeast corner of 120th Avenue South and 50th Street South, Wellington, Florida, 33449, in Palm Beach County.
Subscribe to YIMBY’s daily e-mail
![]()
Follow YIMBYgram for real-time photo updates
Like YIMBY on Facebook
Follow YIMBY’s Twitter for the latest in YIMBYnews


Be the first to comment on "Schickedanz Gets Approval for 25-Unit ‘IslePointe’ in Wellington, FL"